2018 CHEVROLET EQUINOX LT for Sale in North Fort Myers, FL

  • Run and Drive

    When a vehicle arrives at an auction’s yard, the auction confirms that the vehicle starts, can be put into gear and can move forward under its own power. These functions are not guaranteed at pickup or delivery, and the vehicle may not be roadworthy.

THIS VEHICLE IS BEING SOLD AS 'AS IS - WHERE IS' - ALL BIDS ARE BINDING AND ALL SALES ARE FINAL

Auto4Export does not hold any inventory. All listed vehicles DO NOT belong to Auto4Export. All available information about vehicles is listed on our website. No additional information can be provided.

FAQ

Vehicle Information

  • 44261358

  • 2GNAXJEV3J6236300

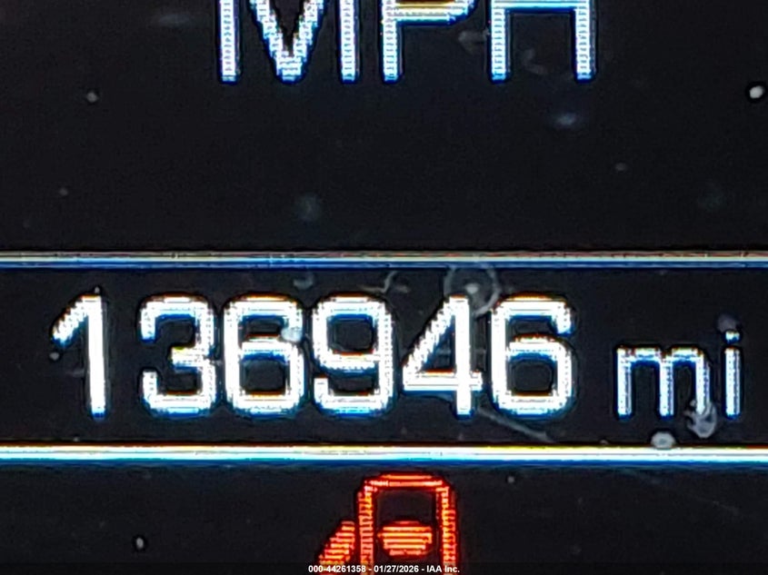
  • 136,946

  • Actual

  • Run & drive

  • Present

  • Left front

  • Front end

  • Florida

  • Rebuildable

  • n/a

  • Gasoline

  • Front wheel drive

  • Automatic

  • Silver

  • $10,235

  • Sport utility

  • n/a

  • Run & Drive

  • $0

  • $2,650

  • ::